Course Instructors
Iain Robertson
Brooke Sullivan
Course Date
Spring 2018
Course Type
Graduate + Undergraduate Advanced Studio
Course Description
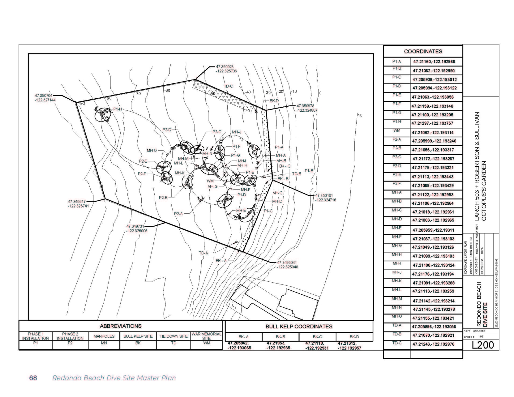
UW Landscape Architecture collaborated with Washington Scuba Alliance (WSA) to develop design options for artificial reefs where divers can observe the diversity of Puget Sound’s marine flora and fauna. The site was Redondo Beach, a small community on the boundary of Des Moines and Federal Way. The reef will be sited across approximately 4 acres of intertidal habitat at one of the most popular dive sites in the entire Puget Sound. An adjacent pier contains Highline College’s Marine Science and Technology Center (MaST), which conducts active marine research and teaching programs and has a public aquarium which is home to over 250 species of marine life. A small stream, piped and culverted for much of its length, flows into the bay at the base of the pier.
Sometimes a sweet project comes across your desk and you just can’t say “no.” This is such an opportunity. Characteristics that make the project particularly intriguing:
- the manageable scale of the project, site and context.
- the fact that the design will be
- the complex of regulatory agencies, municipalities, non-profit organizations, private and public neighbors, interest groups, educational institutions and programs, (with mandates, goals, needs and aspirations that may cooperate or compete) which the designers must navigate and making sense of.’
- the opportunity to synthesize and integrate these disparate views, goals, needs, hopes, dreams and regulations into a coherent understanding of the design possibilities and do so in a way that maximizes the opportunity for all parties to cooperate.
- the opportunity to combine art and science in the reef design. Aus Higley, Manager of MaST speaking of the potential of design: “art is one of the best ways to teach science.”
- the opportunity to articulate this synthesis in visually comprehensible and appealing ways and present these design ideas to disparate audiences
The studio project was featured in the September 2018 issue of Landscape Architecture Magazine.































